Официальное опубликование правовых актов
ОФИЦИАЛЬНОЕ ОПУБЛИКОВАНИЕ
Приказ Министерства культуры Республики Крым от 21.08.2024 № 415-ОКН
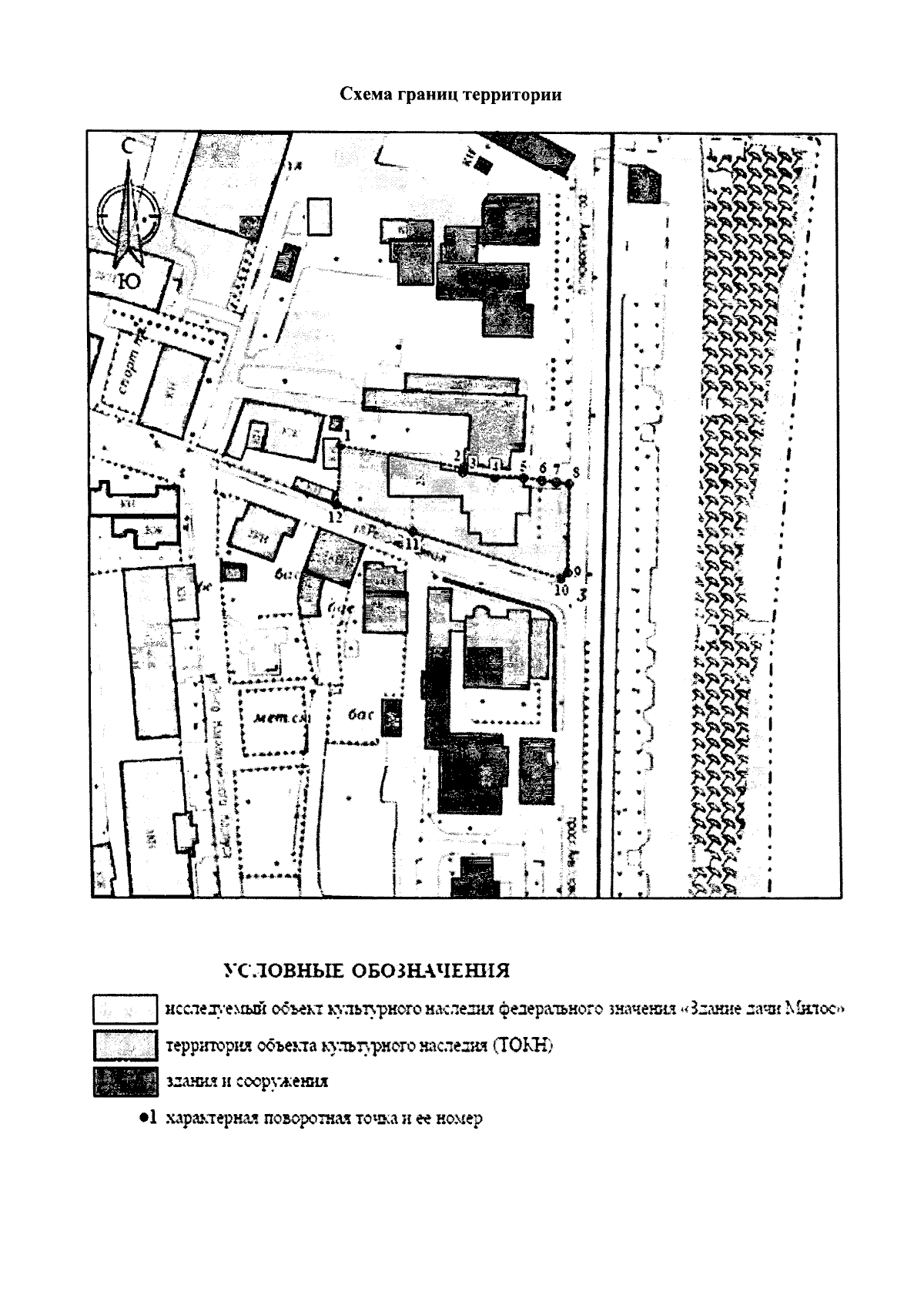
"Об утверждении границ территории, режимов использования земель в границах территории объекта культурного наследия федерального значения "Здание дачи Милос", конец XIX века, расположенного по адресу: Республика Крым, г. Феодосия, Просп. Айвазовского, д. 33, ул. Революционная, д. 2, литеры "А", "а", "а1", "а2", "Б", "б"
(Зарегистрирован 26.08.2024 № 1624)
Номер опубликования: 9101202408280005
Дата опубликования: 28.08.2024
Страница №4 из 5:
Увеличить