Официальное опубликование правовых актов
ОФИЦИАЛЬНОЕ ОПУБЛИКОВАНИЕ
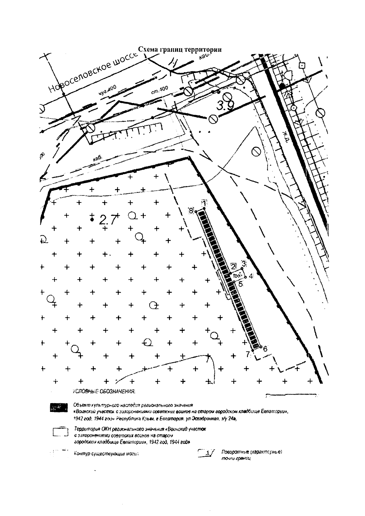
Приказ Министерства культуры Республики Крым от 29.05.2024 № 241-ОКН
"Об утверждении границ территории, режимов использования земель в границах территории объекта культурного наследия регионального значения "Воинский участок с захоронениями советских воинов на старом городском кладбище Евпатории", 1942 год, 1944 год, расположенного по адресу: Республика Крым, г. Евпатория, ул. Эскадронная, городское кладбище"
(Зарегистрирован 31.05.2024 № 1448)
Номер опубликования: 9101202406040016
Дата опубликования: 04.06.2024
Страница №4 из 6:
Увеличить