Официальное опубликование правовых актов
ОФИЦИАЛЬНОЕ ОПУБЛИКОВАНИЕ
Приказ Министерства культуры Республики Крым от 16.04.2024 № 171-ОКН
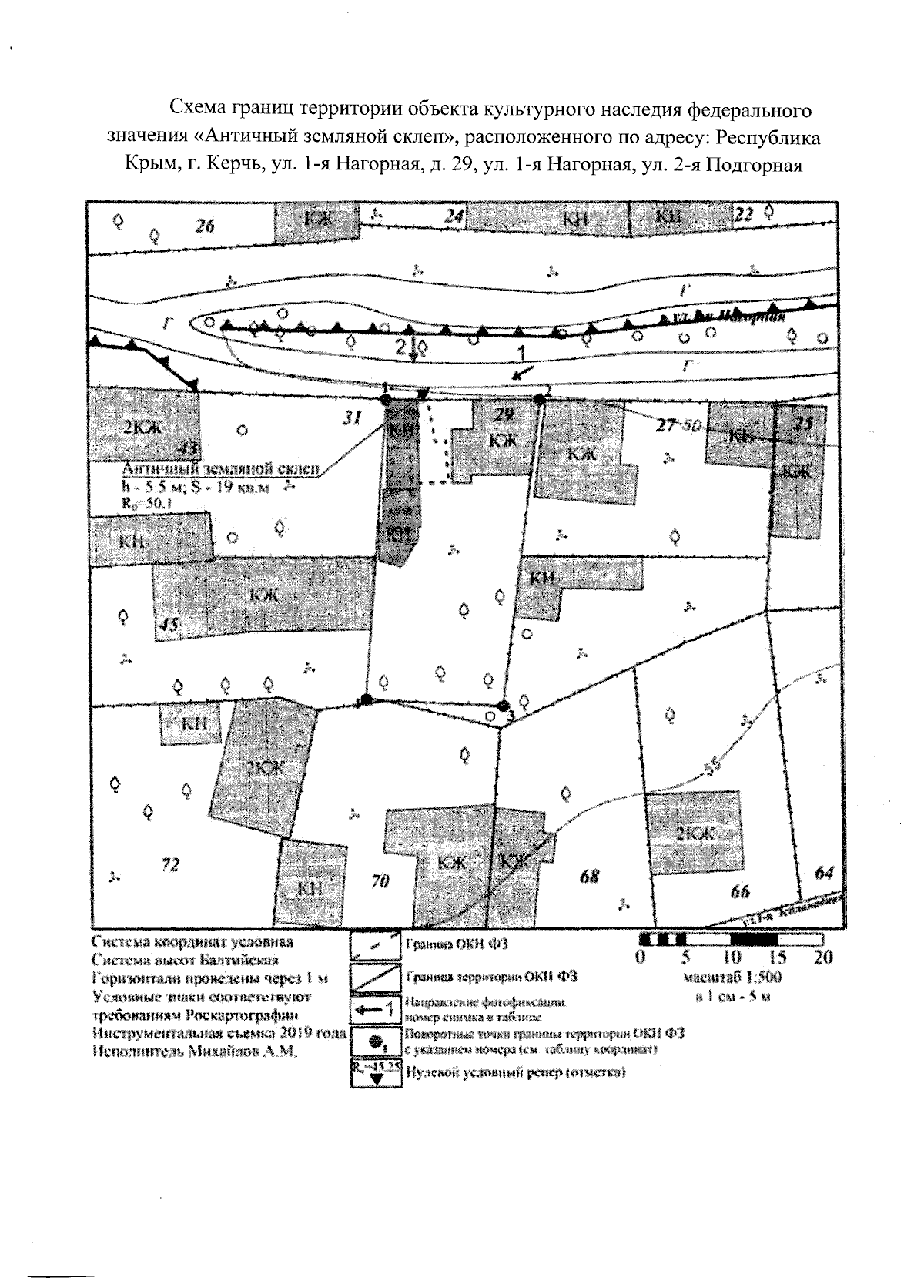
"Об утверждении границ территории и режимов использования земель в границах территории объекта культурного наследия федерального значения "Античный земляной склеп", расположенного по адресу: Республика Крым, г. Керчь, ул. 1-я Нагорная, д. 29, ул. 1-я Нагорная, ул. 2-я Подгорная"
(Зарегистрирован 23.04.2024 № 1370)
Номер опубликования: 9101202404260001
Дата опубликования: 26.04.2024
Страница №4 из 7:
Увеличить