Приказ Министерства культуры Республики Крым от 19.01.2024 № 26-ОКН
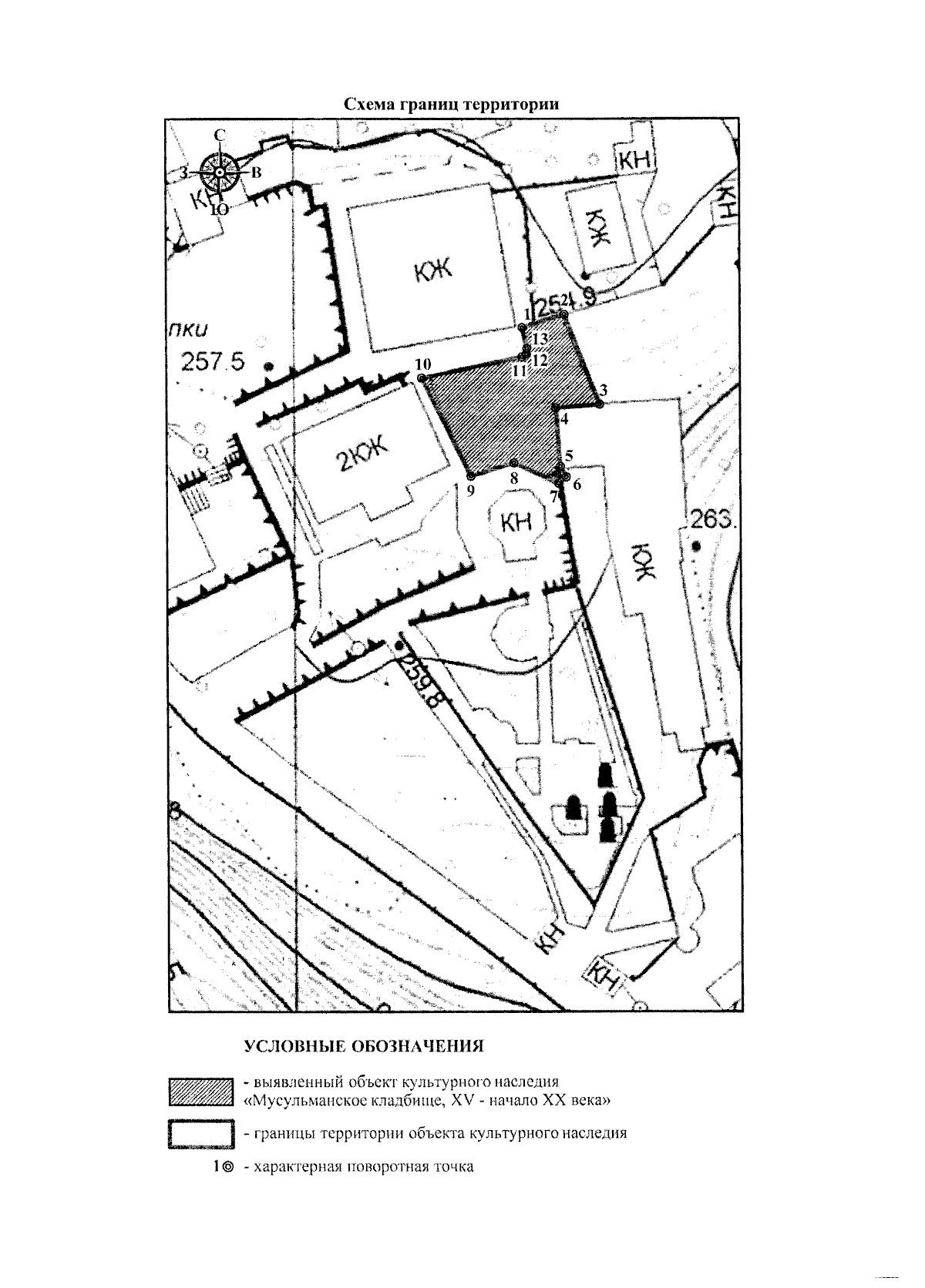
"Об утверждении границ территории, режимов использования земель в границах территории выявленного объекта культурного наследия "Мусульманское кладбище", XV - начало ХХ века, расположенного по адресу: Республика Крым, г. Бахчисарай, ул. Басенко, 57"
(Зарегистрирован 24.01.2024 № 1184)
"Об утверждении границ территории, режимов использования земель в границах территории выявленного объекта культурного наследия "Мусульманское кладбище", XV - начало ХХ века, расположенного по адресу: Республика Крым, г. Бахчисарай, ул. Басенко, 57"
(Зарегистрирован 24.01.2024 № 1184)
Номер опубликования: 9101202401260001
Дата опубликования:
26.01.2024
