Приказ Министерства культуры Республики Крым от 17.05.2023 № 141-окн
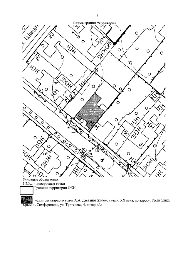
"Об утверждении границ территории, режимов использования земель в границах территории объекта культурного наследия регионального значения "Дом санитарного врача А.А. Дзевановского, начало XX века", расположенного по адресу: Республика Крым, г. Симферополь, ул. Тургенева, 4, литер "А"
(Зарегистрирован 18.05.2023 № 370)
"Об утверждении границ территории, режимов использования земель в границах территории объекта культурного наследия регионального значения "Дом санитарного врача А.А. Дзевановского, начало XX века", расположенного по адресу: Республика Крым, г. Симферополь, ул. Тургенева, 4, литер "А"
(Зарегистрирован 18.05.2023 № 370)
Номер опубликования: 9101202305230007
Дата опубликования:
23.05.2023
