Официальное опубликование правовых актов
ОФИЦИАЛЬНОЕ ОПУБЛИКОВАНИЕ
Приказ Министерства культуры Республики Крым от 11.01.2023 № 14-окн
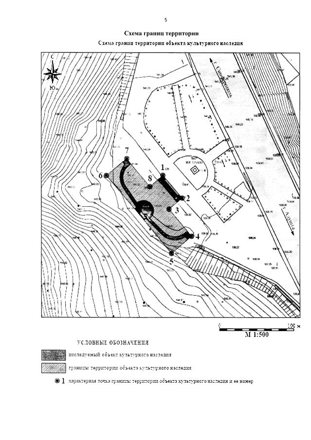
"Об утверждении границ территории, режимов использования земель в границах территории объекта культурного наследия регионального значения "Место ранения в 1774 году М.И. Кутузова "Кутузовский фонтан" (скульптор Л.С. Смерчинский, архитектор А.С. Бабицкий), 1957 год", расположенного по адресу: Республика Крым, городской округ Алушта, 35-й км шоссе Симферополь - Алушта"
(Зарегистрирован 20.01.2023 № 34)
Номер опубликования: 9101202301230007
Дата опубликования: 23.01.2023
Страница №5 из 6:
Увеличить