Приказ Министерства культуры Республики Крым от 24.10.2022 № 634-окн
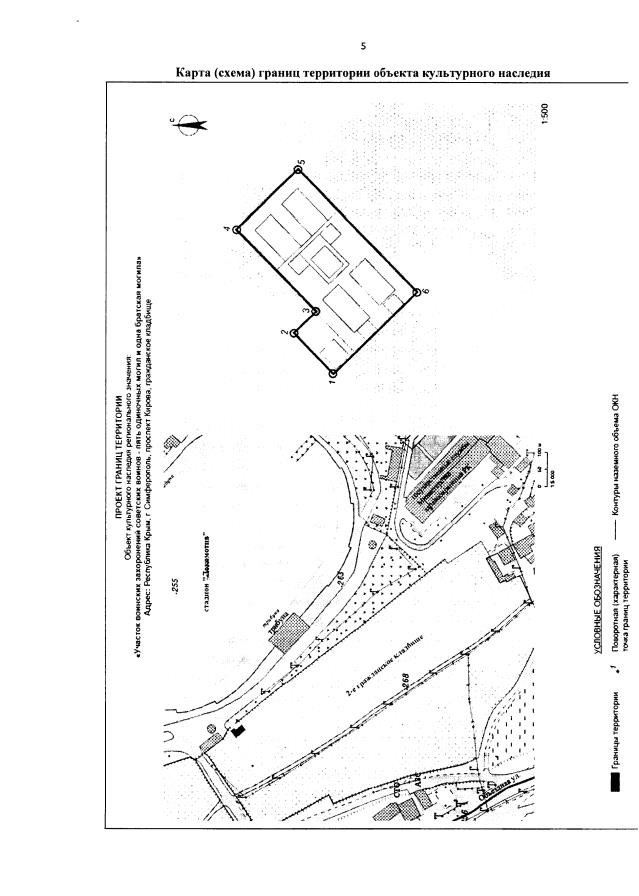
"Об утверждении границ территории и режимов использования земель в границах территории объекта культурного наследия регионального значения "Участок воинских захоронений советских воинов – пять одиночных могил и одна братская могила, 1944 год", расположенного по адресу: Республика Крым, г. Симферополь, пр-кт Кирова, гражданское кладбище"
"Об утверждении границ территории и режимов использования земель в границах территории объекта культурного наследия регионального значения "Участок воинских захоронений советских воинов – пять одиночных могил и одна братская могила, 1944 год", расположенного по адресу: Республика Крым, г. Симферополь, пр-кт Кирова, гражданское кладбище"
Номер опубликования: 9101202210310019
Дата опубликования:
31.10.2022
