Приказ Министерства культуры Республики Крым от 24.10.2022 № 633-окн
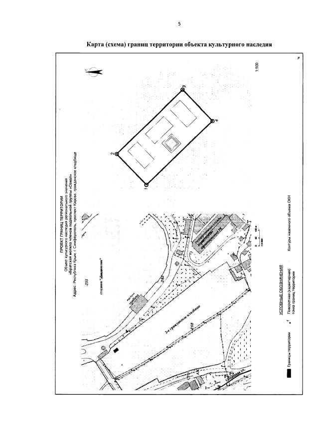
"Об утверждении границ территории и режимов использования земель в границах территории объекта культурного наследия регионального значения "Братская могила членов подпольной группы "Сокол", 1944 год", расположенного по адресу: Республика Крым, г. Симферополь, пр-кт Кирова, гражданское кладбище"
"Об утверждении границ территории и режимов использования земель в границах территории объекта культурного наследия регионального значения "Братская могила членов подпольной группы "Сокол", 1944 год", расположенного по адресу: Республика Крым, г. Симферополь, пр-кт Кирова, гражданское кладбище"
Номер опубликования: 9101202210310016
Дата опубликования:
31.10.2022
