Официальное опубликование правовых актов
ОФИЦИАЛЬНОЕ ОПУБЛИКОВАНИЕ
Приказ Министерства культуры Республики Крым от 22.09.2022 № 542-окн
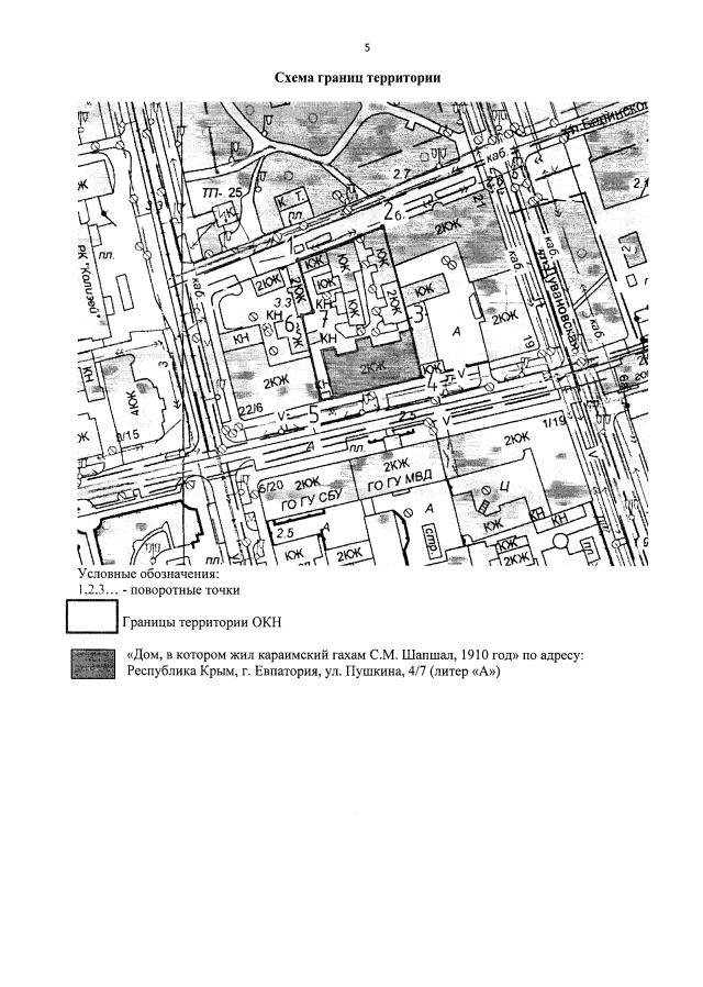
"Об утверждении границ территории, режимов использования земель в границах территории объекта культурного наследия регионального значения "Дом, в котором жил караимский гахам С.М. Шапшал, 1910 год", расположенного по адресу: Республика Крым, г. Евпатория, ул. Пушкина, 4/7, литер "А"
Номер опубликования: 9101202209270020
Дата опубликования: 27.09.2022
Страница №5 из 6:
Увеличить