Официальное опубликование правовых актов
ОФИЦИАЛЬНОЕ ОПУБЛИКОВАНИЕ
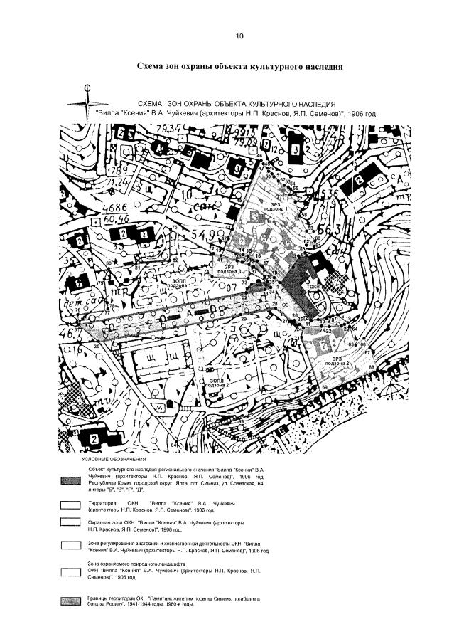
Приказ Министерства культуры Республики Крым от 04.08.2022 № 448-окн
"Об утверждении границ зон охраны, режимов использования земель и требований к градостроительным регламентам в границах зон охраны объекта культурного наследия регионального значения "Вилла "Ксения" В.А. Чуйкевич (архитекторы Н.П. Краснов, Я.П. Семенов), 1906 год", расположенного по адресу: Республика Крым, городской округ Ялта, пгт Симеиз, ул. Советская, 64, литеры "Б", "В", "Г", "Д"
Номер опубликования: 9101202208100026
Дата опубликования: 10.08.2022
Страница №9 из 15:
Увеличить