Официальное опубликование правовых актов
ОФИЦИАЛЬНОЕ ОПУБЛИКОВАНИЕ
Приказ Министерства культуры Республики Крым от 04.08.2022 № 446-окн
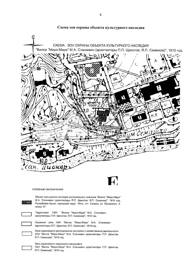
"Об утверждении границ зон охраны, режимов использования земель и требований к градостроительным регламентам в границах зон охраны объекта культурного наследия регионального значения "Вилла "Миро-Маре" М.А. Станкевич (архитекторы П.П. Щекотов, Я.П. Семенов), 1910 год", расположенного по адресу: Республика Крым, городской округ Ялта, пгт Симеиз, ул. Луговского, 4, литер "А"
Номер опубликования: 9101202208100016
Дата опубликования: 10.08.2022
Страница №7 из 12:
Увеличить