Официальное опубликование правовых актов
ОФИЦИАЛЬНОЕ ОПУБЛИКОВАНИЕ
Приказ Министерства культуры Республики Крым от 18.05.2022 № 290-окн
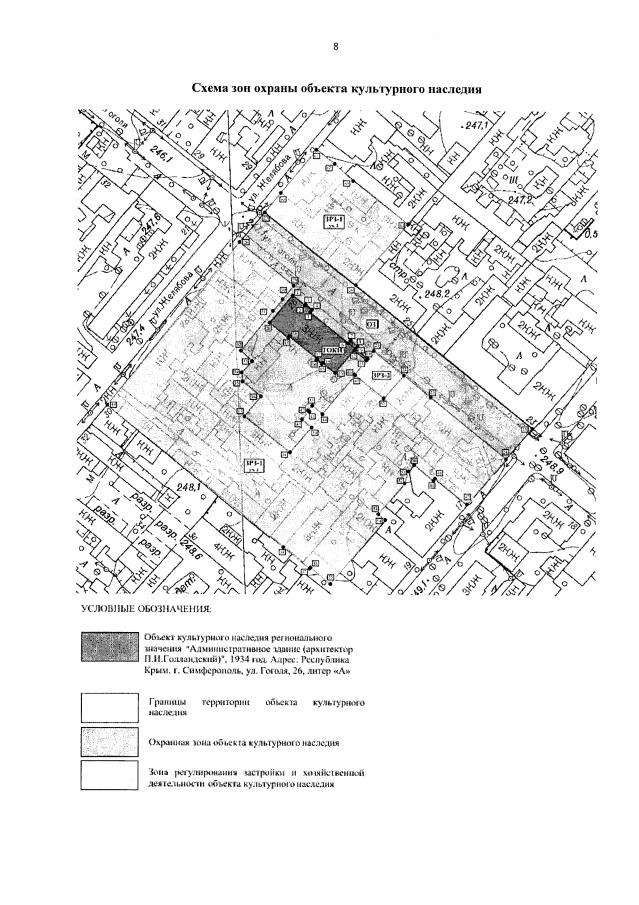
"Об утверждении границ зон охраны, режимов использования земель и требований к градостроительным регламентам в границах зон охраны объекта культурного наследия регионального значения "Административное здание (архитектор П.И. Голландский), 1934 год", расположенного по адресу: Республика Крым, г. Симферополь, ул. Гоголя, 26, литер "А"
Номер опубликования: 9101202205260006
Дата опубликования: 26.05.2022
Страница №7 из 10:
Увеличить