Официальное опубликование правовых актов
ОФИЦИАЛЬНОЕ ОПУБЛИКОВАНИЕ
Приказ Министерства культуры Республики Крым от 17.05.2022 № 280-окн
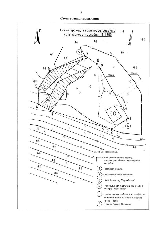
"Об утверждении границ территории, режимов использования земель в границах территории объекта культурного наследия регионального значения "Братская могила партизан Севастопольского отряда, 1941 - 1942 годы", расположенного по адресу: Республика Крым, Бахчисарайский район, сельское поселение Голубинское, 8-й км от дороги Большой каньон, 300 м от "Чайного домика", гора "Орлиный залет"
Номер опубликования: 9101202205230009
Дата опубликования: 23.05.2022
Страница №5 из 6:
Увеличить