Официальное опубликование правовых актов
ОФИЦИАЛЬНОЕ ОПУБЛИКОВАНИЕ
Приказ Министерства культуры Республики Крым от 17.05.2022 № 275-окн
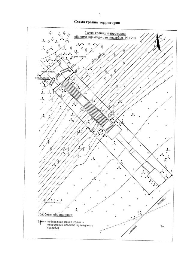
"Об утверждении границ территории, режимов использования земель в границах территории объекта культурного наследия регионального значения "Памятный знак на месте боев курсантов Военно-морского училища береговой обороны им. ЛКСМУ, 2011 год", расположенного по адресу: Республика Крым, Бахчисарайский район, сельское поселение Железнодорожненское, с. Мостовое, в 0,6 км к северо-востоку от села, холм у шоссе Симферополь - Севастополь (34/38 км)"
Номер опубликования: 9101202205230005
Дата опубликования: 23.05.2022
Страница №4 из 5:
Увеличить