Официальное опубликование правовых актов
ОФИЦИАЛЬНОЕ ОПУБЛИКОВАНИЕ
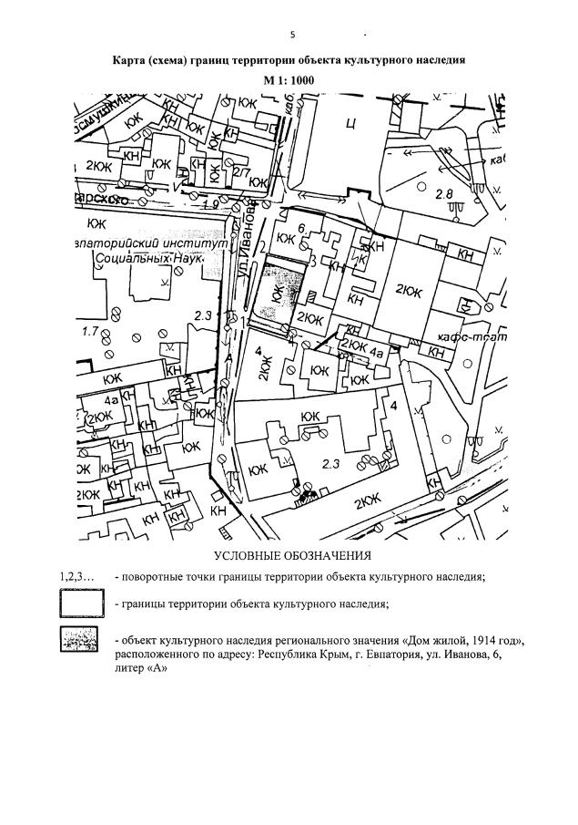
Приказ Министерства культуры Республики Крым от 04.05.2022 № 239-окн
"Об утверждении границ территории и режимов использования земель в границах территории объекта культурного наследия регионального значения "Дом жилой, 1914 год", расположенного по адресу: Республика Крым, г. Евпатория, ул. Иванова, 6, литер "А"
Номер опубликования: 9101202205130013
Дата опубликования: 13.05.2022
Страница №4 из 5:
Увеличить