Официальное опубликование правовых актов
ОФИЦИАЛЬНОЕ ОПУБЛИКОВАНИЕ
Приказ Министерства культуры Республики Крым от 28.04.2022 № 218-окн
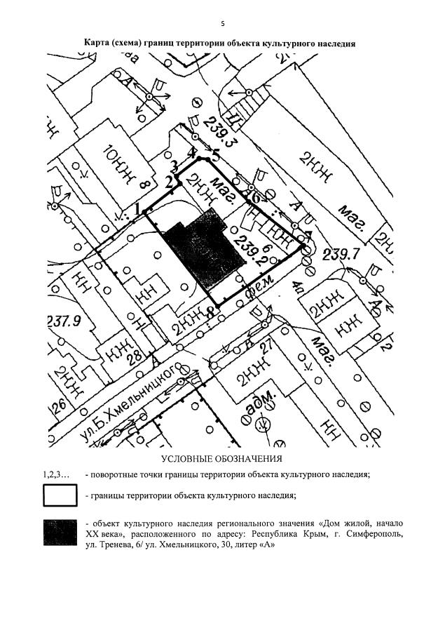
"Об утверждении границ территории и режимов использования земель в границах территории объекта культурного наследия регионального значения "Дом жилой, начало XX века", расположенного по адресу: Республика Крым, г. Симферополь, ул. Тренева, 6/ул. Хмельницкого, 30, литер "А"
Номер опубликования: 9101202204290010
Дата опубликования: 29.04.2022
Страница №4 из 5:
Увеличить