Приказ Министерства культуры Республики Крым от 28.04.2022 № 216-окн
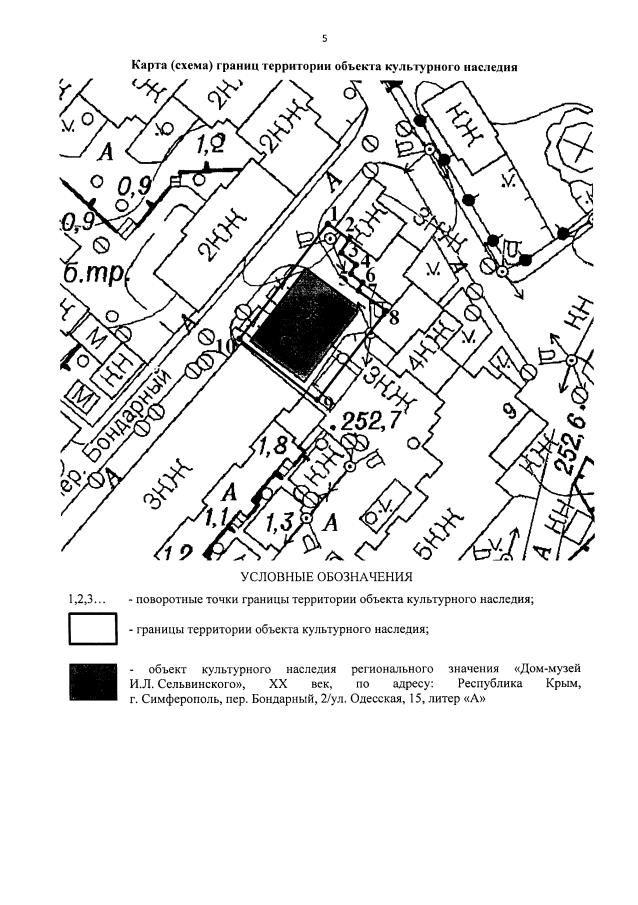
"Об утверждении границ территории и режимов использования земель в границах территории объекта культурного наследия регионального значения "Дом-музей И.Л. Сельвинского, XX век", расположенного по адресу: Республика Крым, г. Симферополь, пер. Бондарный, 2/ул. Одесская, 15, литер "А"
"Об утверждении границ территории и режимов использования земель в границах территории объекта культурного наследия регионального значения "Дом-музей И.Л. Сельвинского, XX век", расположенного по адресу: Республика Крым, г. Симферополь, пер. Бондарный, 2/ул. Одесская, 15, литер "А"
Номер опубликования: 9101202204290007
Дата опубликования:
29.04.2022
