Приказ Министерства культуры Республики Крым от 28.04.2022 № 215-окн
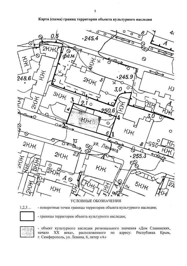
"Об утверждении границ территории и режимов использования земель в границах территории объекта культурного наследия регионального значения "Дом Славинских, начало XX века", расположенного по адресу: Республика Крым, г. Симферополь, ул. Ленина, 6, литер "А"
"Об утверждении границ территории и режимов использования земель в границах территории объекта культурного наследия регионального значения "Дом Славинских, начало XX века", расположенного по адресу: Республика Крым, г. Симферополь, ул. Ленина, 6, литер "А"
Номер опубликования: 9101202204290002
Дата опубликования:
29.04.2022
