Официальное опубликование правовых актов
ОФИЦИАЛЬНОЕ ОПУБЛИКОВАНИЕ
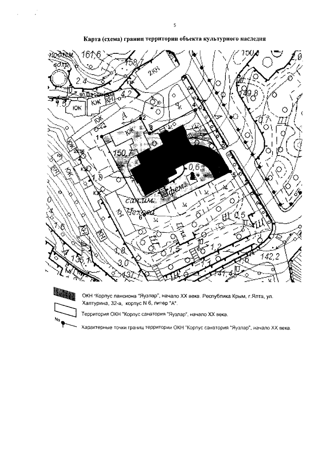
Приказ Министерства культуры Республики Крым от 03.03.2022 № 59-окн
"Об утверждении границ территории и режимов использования земель в границах территории объекта культурного наследия регионального значения "Корпус пансиона "Яузлар", начало XX века", расположенного по адресу: Республика Крым, г. Ялта, ул. Халтурина, 32-а, корпус № 6, литер "А"
Номер опубликования: 9101202203140022
Дата опубликования: 14.03.2022
Страница №5 из 6:
Увеличить