Официальное опубликование правовых актов
ОФИЦИАЛЬНОЕ ОПУБЛИКОВАНИЕ
Приказ Министерства культуры Республики Крым от 05.03.2022 № 65-окн
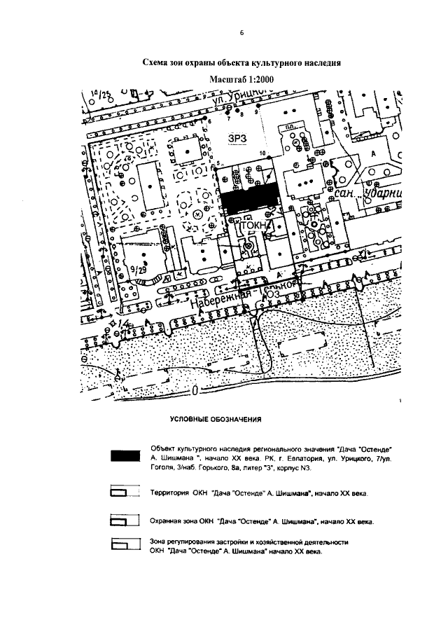
"Об утверждении границ зон охраны, режимов использования земель и требований к градостроительным регламентам в границах зон охраны объекта культурного наследия регионального значения "Дача "Остенде" А. Шишмана, начало XX века", расположенного по адресу: Республика Крым, г. Евпатория, ул. Урицкого, 7/ул. Гоголя, 3/ наб. им. Горького, 8а, литер "3", корпус № 3"
Номер опубликования: 9101202203140011
Дата опубликования: 14.03.2022
Страница №6 из 10:
Увеличить