Официальное опубликование правовых актов
ОФИЦИАЛЬНОЕ ОПУБЛИКОВАНИЕ
Приказ Министерства культуры Республики Крым от 03.03.2022 № 47-окн
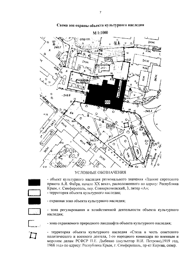
"Об утверждении границ зон охраны, режимов использования земель и требований к градостроительным регламентам в границах зон охраны объекта культурного наследия регионального значения "Здание сиротского приюта А.Я. Фабра, начало XX века", расположенного по адресу: Республика Крым, г. Симферополь, пер. Совнаркомовский, 3, литер "А"
Номер опубликования: 9101202203100017
Дата опубликования: 10.03.2022
Страница №7 из 12:
Увеличить