Официальное опубликование правовых актов
ОФИЦИАЛЬНОЕ ОПУБЛИКОВАНИЕ
Приказ Министерства культуры Республики Крым от 21.12.2021 № 601-окн
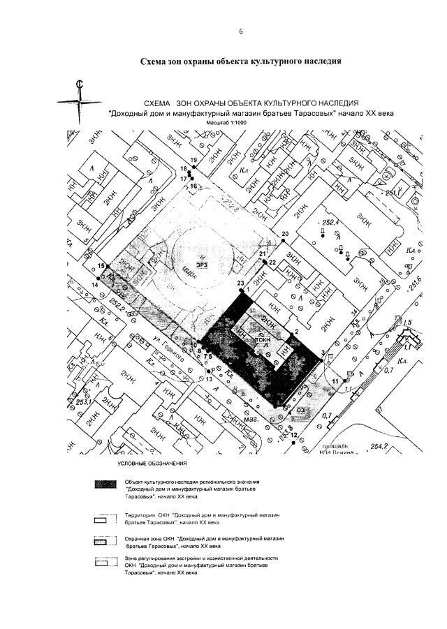
"Об утверждении границ зон охраны, режимов использования земель и требований к градостроительным регламентам в границах зон охраны объекта культурного наследия регионального значения "Доходный дом и мануфактурный магазин братьев Тарасовых, начало XX века", расположенного по адресу Республика Крым, г. Симферополь, пр-кт Кирова, 32/ул. Горького, 1, литеры "А", "Б", "В", "Д"
Номер опубликования: 9101202112230033
Дата опубликования: 23.12.2021
Страница №6 из 10:
Увеличить