Приказ Министерства культуры Республики Крым от 30.11.2021 № 542-окн
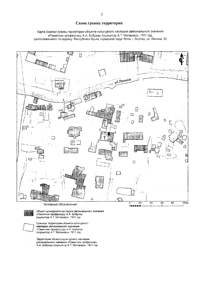
"Об утверждении границ территории, режимов использования земель в границах территории объекта культурного наследия регионального значения "Памятник профессору А.А. Боброву (скульптор А.Т. Матвеев), 1911 год", расположенного по адресу: Республика Крым, городской округ Ялта, г. Алупка, ул. Ленина, 35"
"Об утверждении границ территории, режимов использования земель в границах территории объекта культурного наследия регионального значения "Памятник профессору А.А. Боброву (скульптор А.Т. Матвеев), 1911 год", расположенного по адресу: Республика Крым, городской округ Ялта, г. Алупка, ул. Ленина, 35"
Номер опубликования: 9101202112020010
Дата опубликования:
02.12.2021
