Приказ Министерства культуры Республики Крым от 25.10.2021 № 503-ОКН
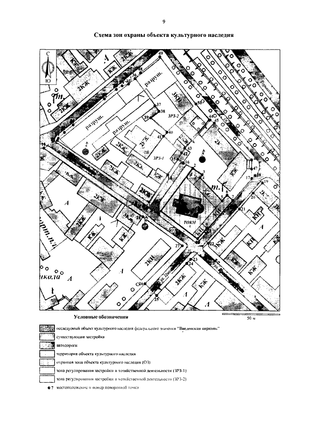
"Об утверждении границ зон охраны, режимов использования земель и требований к градостроительным регламентам в границах зон охраны объекта культурного наследия федерального значения "Введенская церковь, VIII-IX века, XIX век", расположенного по адресу: Республика Крым, г. Феодосия, ул. Красноармейская, д. 11"
"Об утверждении границ зон охраны, режимов использования земель и требований к градостроительным регламентам в границах зон охраны объекта культурного наследия федерального значения "Введенская церковь, VIII-IX века, XIX век", расположенного по адресу: Республика Крым, г. Феодосия, ул. Красноармейская, д. 11"
Номер опубликования: 9101202110280003
Дата опубликования:
28.10.2021
