Приказ Министерства культуры Республики Крым от 09.07.2021 № 271-окн
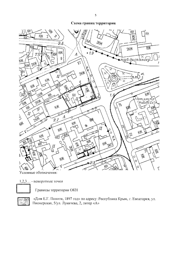
"Об утверждении границ территории, режимов использования земель в границах территории объекта культурного наследия регионального значения "Дом Е.Г. Полити, 1897 год", расположенного по адресу: Республика Крым, г. Евпатория, ул. Пионерская, 5/ ул. Лукичева, 2 литер "А"
"Об утверждении границ территории, режимов использования земель в границах территории объекта культурного наследия регионального значения "Дом Е.Г. Полити, 1897 год", расположенного по адресу: Республика Крым, г. Евпатория, ул. Пионерская, 5/ ул. Лукичева, 2 литер "А"
Номер опубликования: 9101202107120009
Дата опубликования:
12.07.2021
