Приказ Министерства культуры Республики Крым от 28.05.2021 № 138-окн
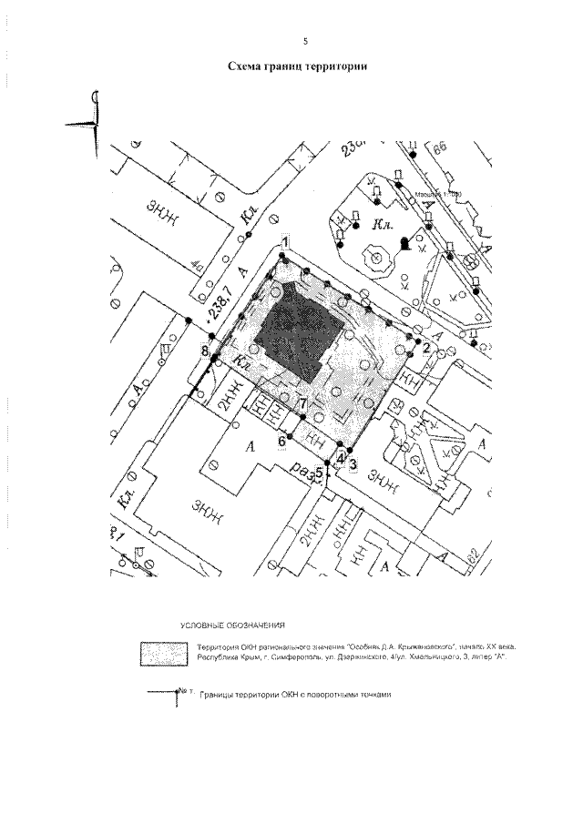
"Об утверждении границ территории, режимов использования земель в границах территории объекта культурного наследия регионального значения "Особняк Д.А. Крыжановского, начало XX века", расположенного по адресу: Республика Крым, г. Симферополь, ул. Дзержинского, 4/ул. Хмельницкого, 3, литер "А"
"Об утверждении границ территории, режимов использования земель в границах территории объекта культурного наследия регионального значения "Особняк Д.А. Крыжановского, начало XX века", расположенного по адресу: Республика Крым, г. Симферополь, ул. Дзержинского, 4/ул. Хмельницкого, 3, литер "А"
Номер опубликования: 9101202106010013
Дата опубликования:
01.06.2021
