Официальное опубликование правовых актов
ОФИЦИАЛЬНОЕ ОПУБЛИКОВАНИЕ
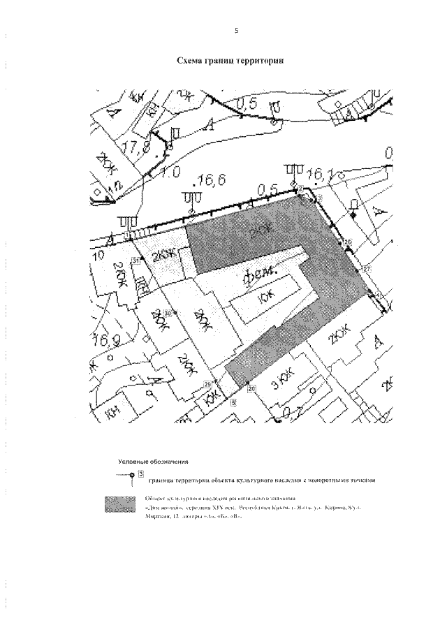
Приказ Министерства культуры Республики Крым от 28.05.2021 № 139-окн
"Об утверждении границ территории, режимов использования земель в границах территории объекта культурного наследия регионального значения "Дом жилой, середина XIX века", расположенного по адресу: Республика Крым, г. Ялта, ул. Кирова, 8/ул. Морская, 12, литеры "А", "Б", "В"
Номер опубликования: 9101202106010010
Дата опубликования: 01.06.2021
Страница №5 из 6:
Увеличить