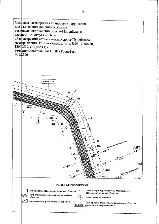
Постановление Правительства Ханты-Мансийского автономного округа - Югры от 03.03.2017 № 72-п
"Об утверждении документации по планировке территории для размещения линейных объектов регионального значения Ханты-Мансийского автономного округа – Югры"
"Об утверждении документации по планировке территории для размещения линейных объектов регионального значения Ханты-Мансийского автономного округа – Югры"
Номер опубликования: 8600201703070009
Дата опубликования:
07.03.2017
