Официальное опубликование правовых актов
ОФИЦИАЛЬНОЕ ОПУБЛИКОВАНИЕ
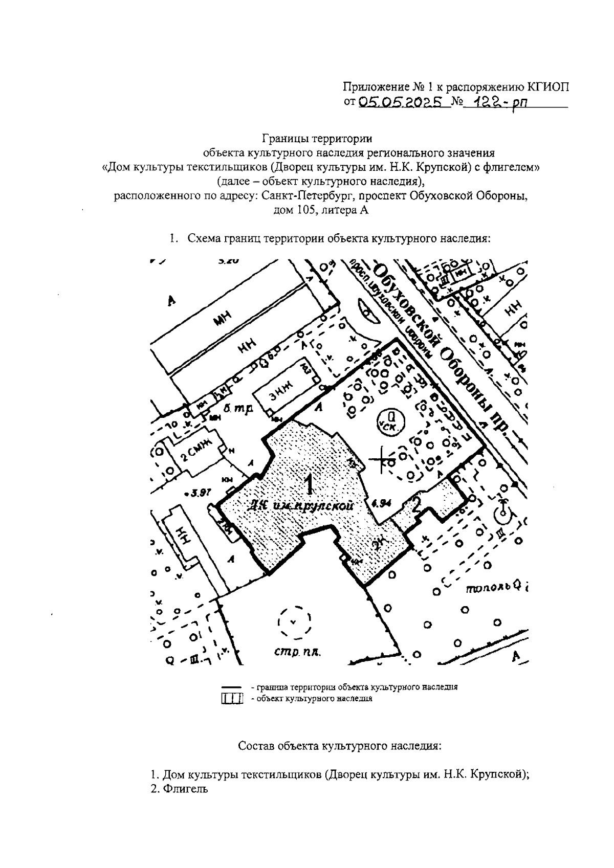
Распоряжение Комитета по государственному контролю, использованию и охране памятников истории и культуры от 05.05.2025 № 122-рп
"О включении выявленного объекта культурного наследия в единый государственный реестр объектов культурного наследия (памятников истории и культуры) народов Российской Федерации в качестве объекта культурного наследия регионального значения "Дом культуры Текстильщиков (Дворец культуры им. Н.К. Крупской) с флигелем", об утверждении границ и режима использования территории объекта культурного наследия, об утверждении предмета охраны объекта культурного наследия"
(Зарегистрирован 06.05.2025 № 50332)
Номер опубликования: 7801202505070009
Дата опубликования: 07.05.2025
Страница №3 из 18:
Увеличить