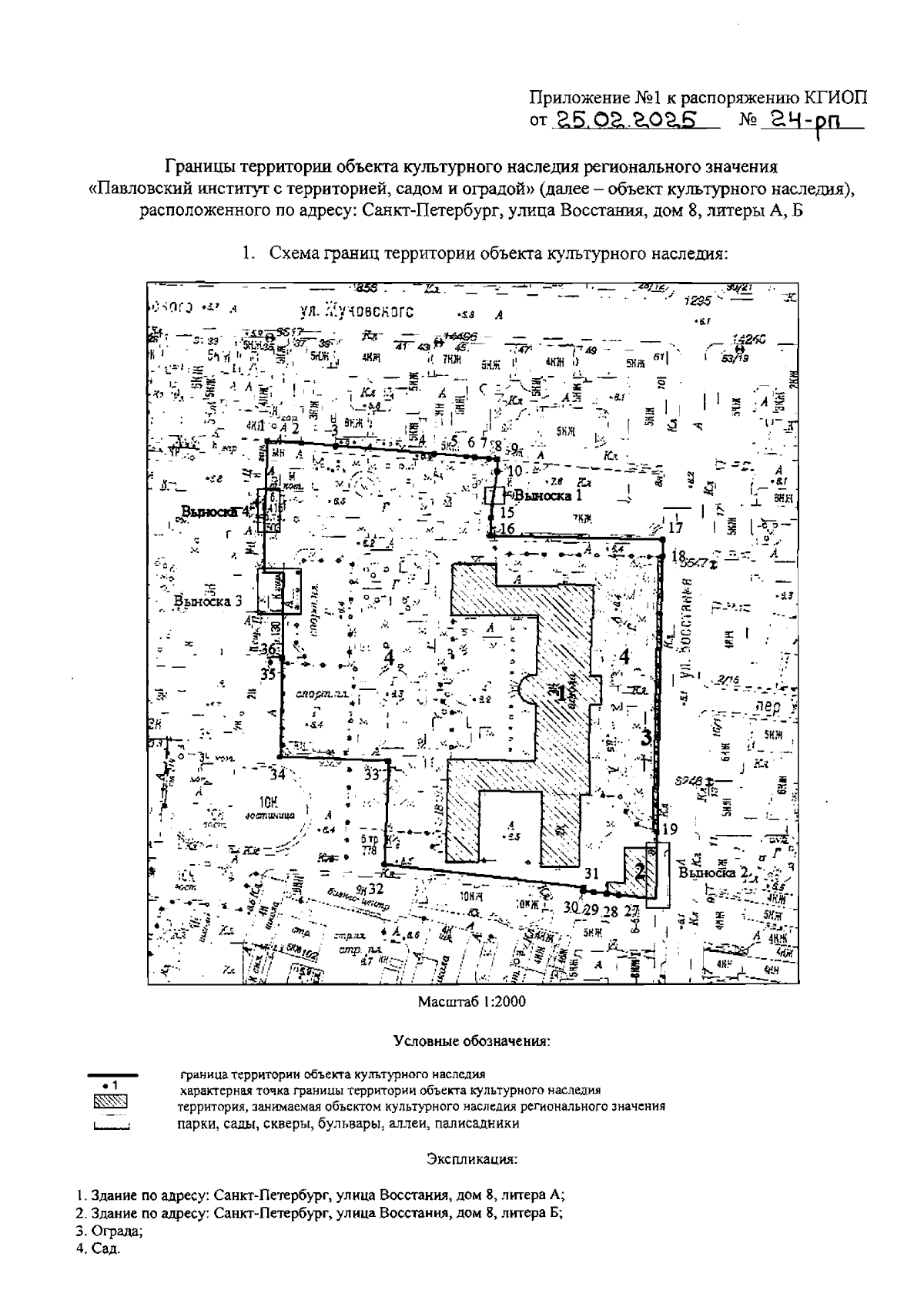
Распоряжение Комитета по государственному контролю, использованию и охране памятников истории и культуры от 25.02.2025 № 24-рп
"Об утверждении границ и режима использования территории объекта культурного наследия регионального значения "Павловский институт с территорией, садом и оградой"
(Зарегистрирован 26.02.2025 № 50005)
"Об утверждении границ и режима использования территории объекта культурного наследия регионального значения "Павловский институт с территорией, садом и оградой"
(Зарегистрирован 26.02.2025 № 50005)
Номер опубликования: 7801202502280018
Дата опубликования:
28.02.2025
