Официальное опубликование правовых актов
ОФИЦИАЛЬНОЕ ОПУБЛИКОВАНИЕ
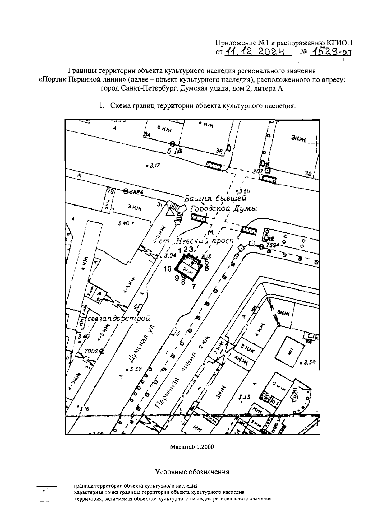
Распоряжение Комитета по государственному контролю, использованию и охране памятников истории и культуры от 11.12.2024 № 1529-рп
"Об утверждении границ и режима использования территории объекта культурного наследия регионального значения "Портик Перинной линии"
(Зарегистрирован 12.12.2024 № 49566)
Номер опубликования: 7801202412130007
Дата опубликования: 13.12.2024
Страница №3 из 5:
Увеличить