Официальное опубликование правовых актов
ОФИЦИАЛЬНОЕ ОПУБЛИКОВАНИЕ
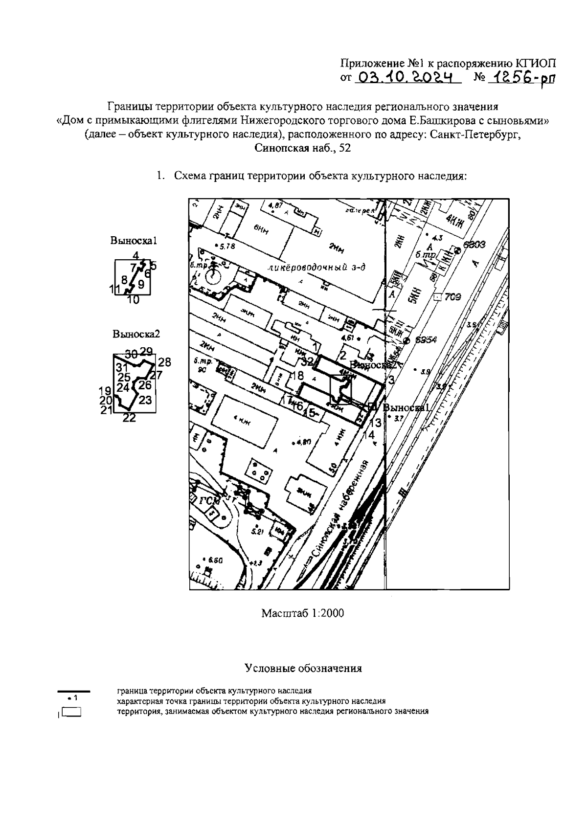
Распоряжение Комитета по государственному контролю, использованию и охране памятников истории и культуры от 03.10.2024 № 1256-рп
"Об утверждении границ и режима использования территории объекта культурного наследия регионального значения "Дом с примыкающими флигелями Нижегородского торгового дома Е.Башкирова с сыновьями"
(Зарегистрирован 07.10.2024 № 49037)
Номер опубликования: 7801202410080013
Дата опубликования: 08.10.2024
Страница №3 из 6:
Увеличить