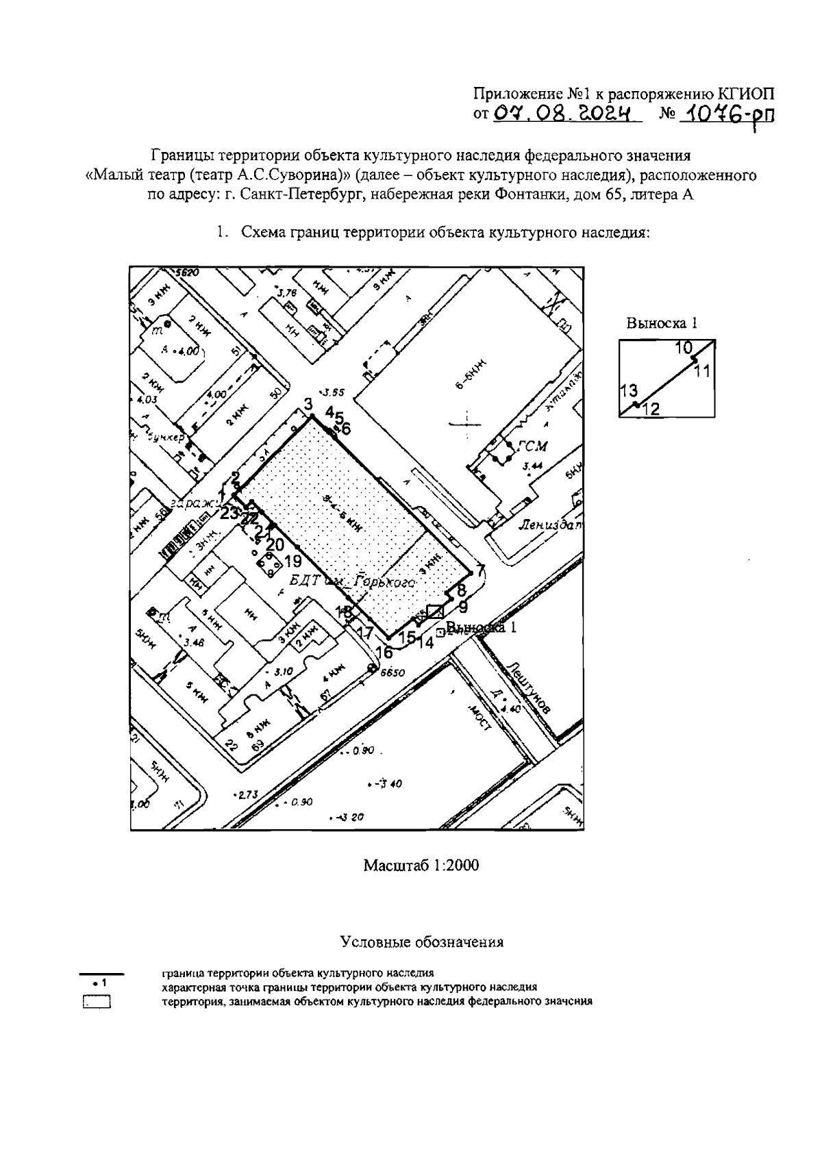
Распоряжение Комитета по государственному контролю, использованию и охране памятников истории и культуры от 07.08.2024 № 1076-рп
"Об утверждении границ и режима использования территории объекта культурного наследия федерального значения "Малый театр (театр А.С.Суворина)"
(Зарегистрирован 08.08.2024 № 48647)
"Об утверждении границ и режима использования территории объекта культурного наследия федерального значения "Малый театр (театр А.С.Суворина)"
(Зарегистрирован 08.08.2024 № 48647)
Номер опубликования: 7801202408090016
Дата опубликования:
09.08.2024
