Официальное опубликование правовых актов
ОФИЦИАЛЬНОЕ ОПУБЛИКОВАНИЕ
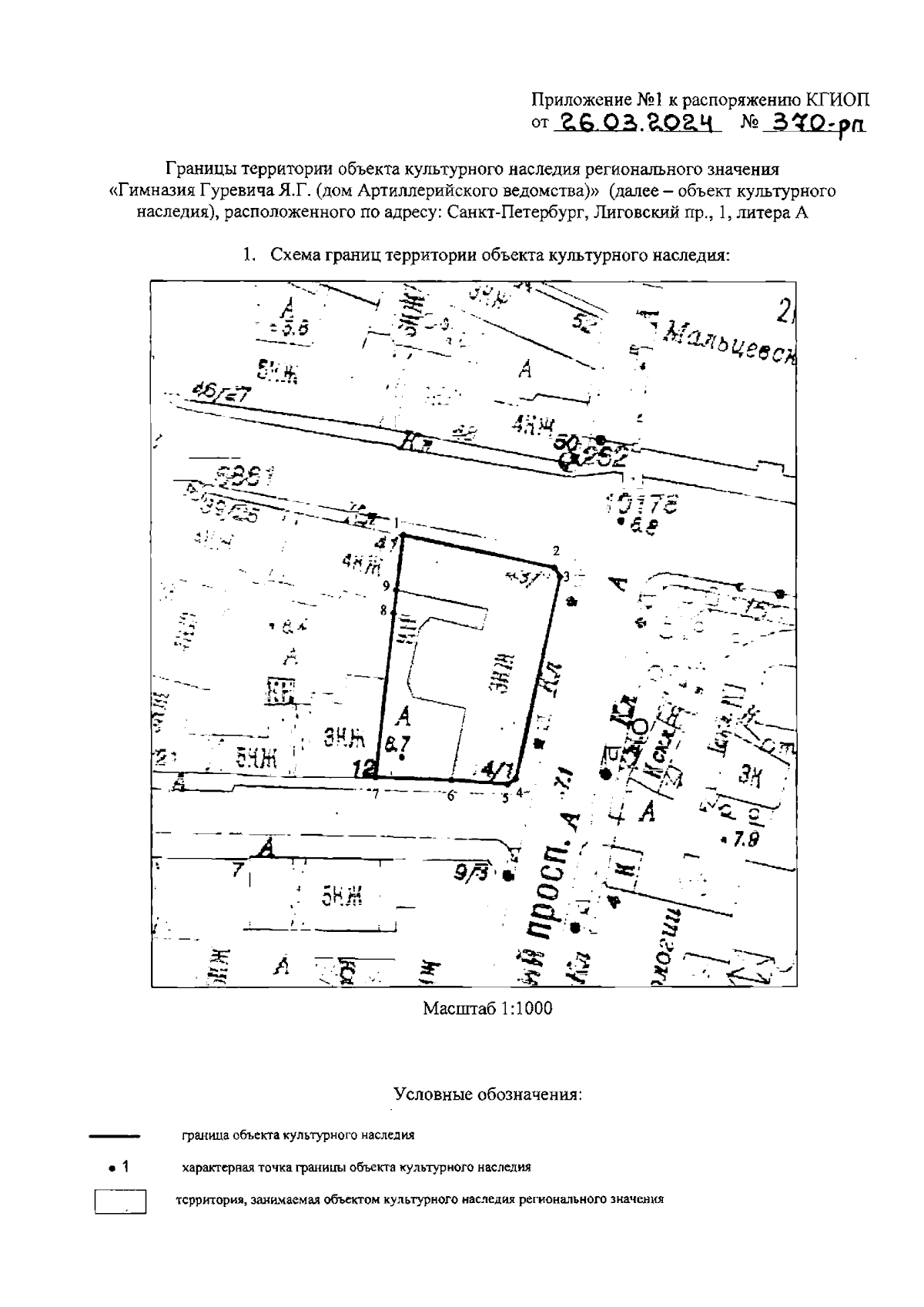
Распоряжение Комитета по государственному контролю, использованию и охране памятников истории и культуры Санкт-Петербурга от 26.03.2024 № 370-рп
"Об утверждении границ и режима использования территории объекта культурного наследия регионального значения "Гимназия Гуревича Я.Г. (дом Артиллерийского ведомства)"
(Зарегистрирован 28.03.2024 № 37356)
Номер опубликования: 7801202404020010
Дата опубликования: 02.04.2024
Страница №3 из 5:
Увеличить