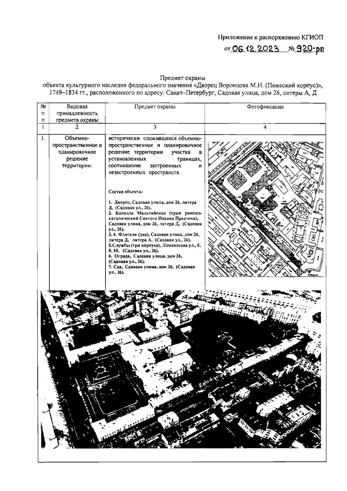
Распоряжение Комитета по государственному контролю, использованию и охране памятников истории и культуры Санкт-Петербурга от 06.12.2023 № 920-рп
"Об утверждении предмета охраны объекта культурного наследия федерального значения "Дворец Воронцова М.И. (Пажеский корпус)"
(Зарегистрирован 07.12.2023 № 36371)
"Об утверждении предмета охраны объекта культурного наследия федерального значения "Дворец Воронцова М.И. (Пажеский корпус)"
(Зарегистрирован 07.12.2023 № 36371)
Номер опубликования: 7801202312110056
Дата опубликования:
11.12.2023
