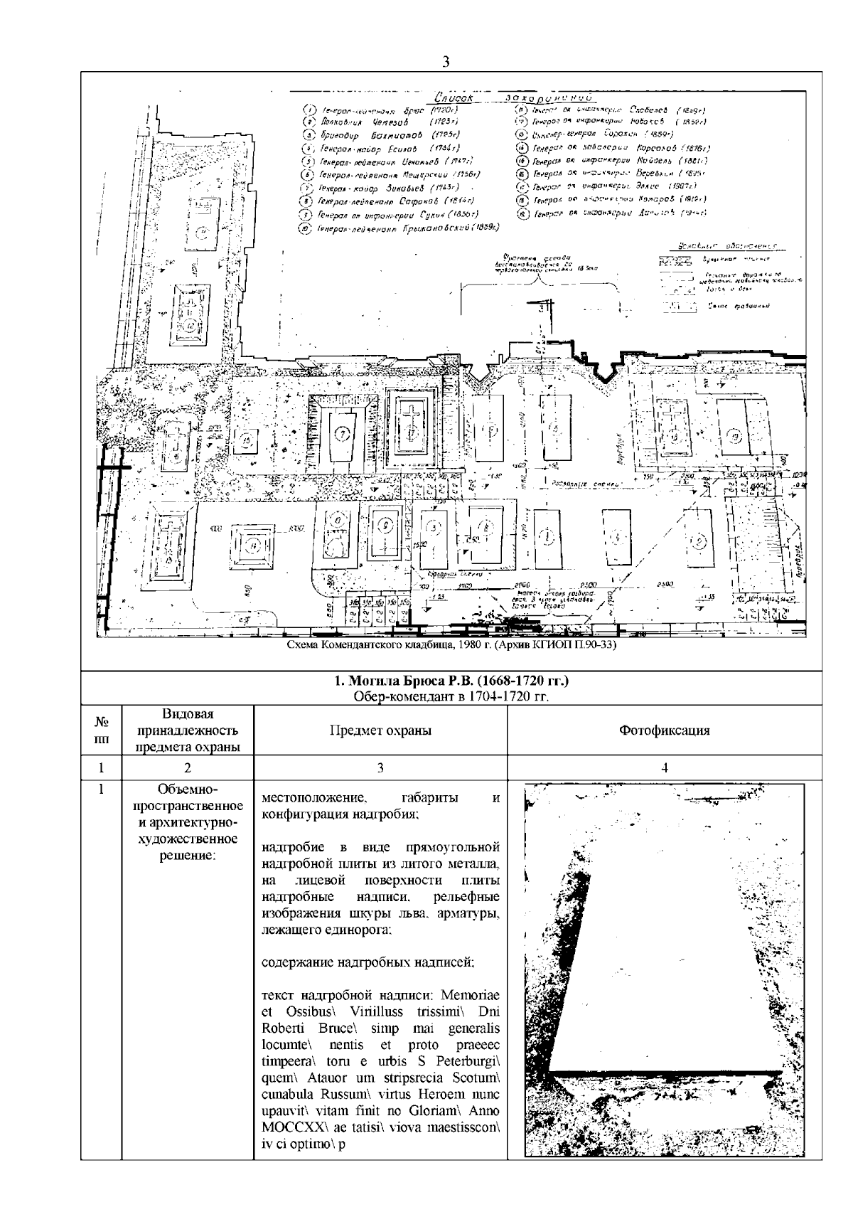
Распоряжение Комитета по государственному контролю, использованию и охране памятников истории и культуры Санкт-Петербурга от 10.10.2023 № 820-рп
"Об утверждении предмета охраны объекта культурного наследия федерального значения "Кладбище комендантское", входящего в состав объекта культурного наследия федерального значения "Петропавловская крепость"
(Зарегистрирован 11.10.2023 № 36034)
"Об утверждении предмета охраны объекта культурного наследия федерального значения "Кладбище комендантское", входящего в состав объекта культурного наследия федерального значения "Петропавловская крепость"
(Зарегистрирован 11.10.2023 № 36034)
Номер опубликования: 7801202310130003
Дата опубликования:
13.10.2023
