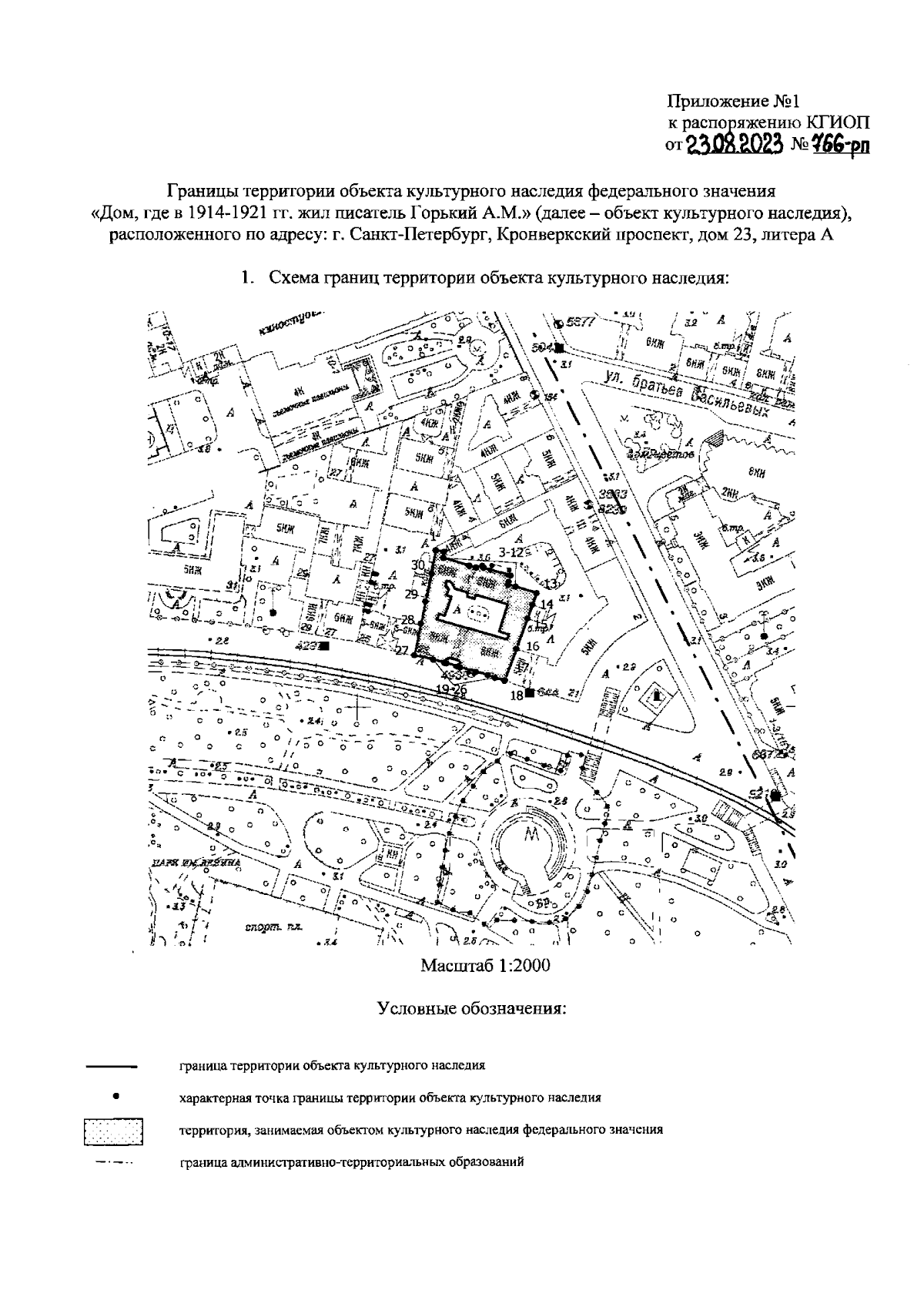
Распоряжение Комитета по государственному контролю, использованию и охране памятников истории и культуры Санкт-Петербурга от 23.08.2023 № 766-рп
"Об утверждении границ и режима использования территории объекта культурного наследия федерального значения "Дом, где в 1914-1921 гг. жил писатель Горький А.М."
(Зарегистрирован 24.08.2023 № 35769)
"Об утверждении границ и режима использования территории объекта культурного наследия федерального значения "Дом, где в 1914-1921 гг. жил писатель Горький А.М."
(Зарегистрирован 24.08.2023 № 35769)
Номер опубликования: 7801202308300007
Дата опубликования:
30.08.2023
