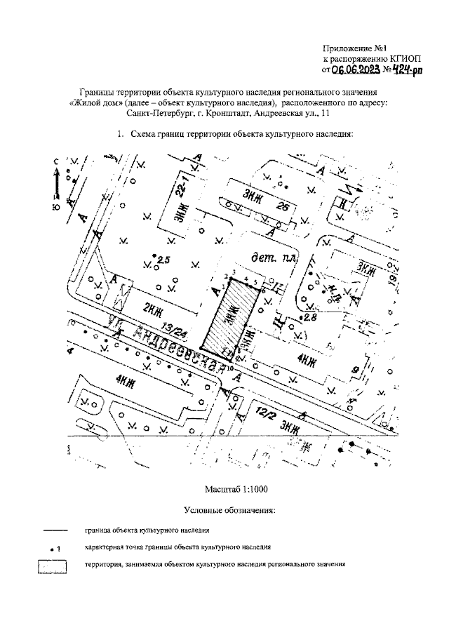
Распоряжение Комитета по государственному контролю, использованию и охране памятников истории и культуры Санкт-Петербурга от 06.06.2023 № 424-рп
"Об утверждении границ и режима использования территории объекта культурного наследия регионального значения "Жилой дом"
(Зарегистрирован 06.06.2023 № 35075)
"Об утверждении границ и режима использования территории объекта культурного наследия регионального значения "Жилой дом"
(Зарегистрирован 06.06.2023 № 35075)
Номер опубликования: 7801202306070020
Дата опубликования:
07.06.2023
