Распоряжение Комитета по государственному контролю, использованию и охране памятников истории и культуры Санкт-Петербурга от 18.03.2022 № 207-рп
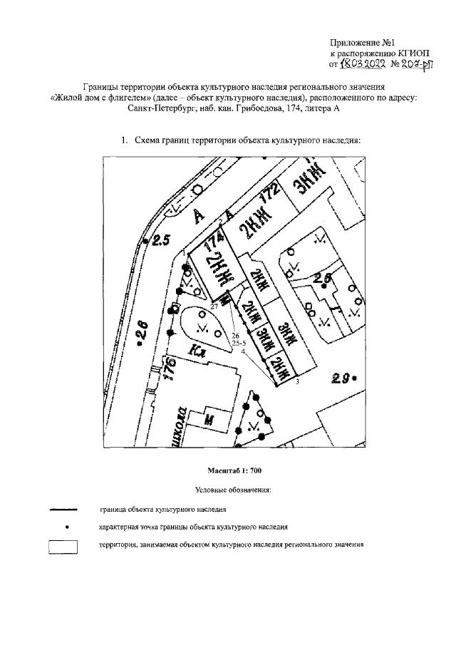
"Об утверждении границ и режима использования территории объекта культурного наследия регионального значения "Жилой дом с флигелем"
"Об утверждении границ и режима использования территории объекта культурного наследия регионального значения "Жилой дом с флигелем"
Номер опубликования: 7801202203250009
Дата опубликования:
25.03.2022
