Официальное опубликование правовых актов
ОФИЦИАЛЬНОЕ ОПУБЛИКОВАНИЕ
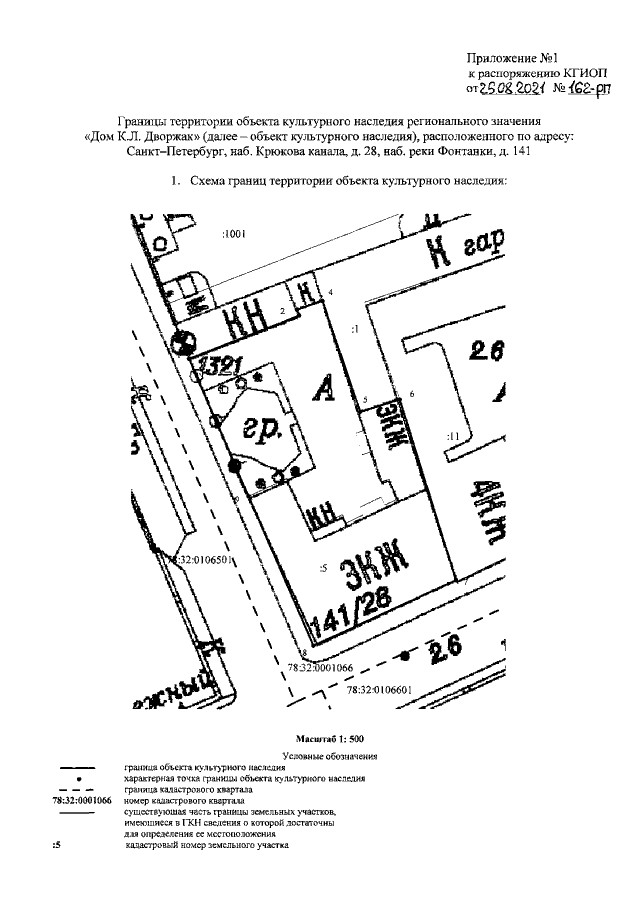
Распоряжение Комитета по государственному контролю, использованию и охране памятников истории и культуры Санкт-Петербурга от 25.08.2021 № 162-рп
"Об утверждении границ и режима использования территории объекта культурного наследия регионального значения "Дом К.Л. Дворжак"
Номер опубликования: 7801202108300005
Дата опубликования: 30.08.2021
Страница №3 из 5:
Увеличить