Официальное опубликование правовых актов
ОФИЦИАЛЬНОЕ ОПУБЛИКОВАНИЕ
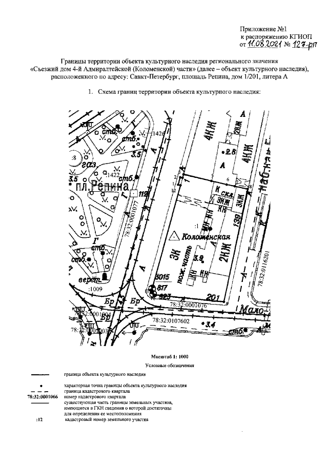
Распоряжение Комитета по государственному контролю, использованию и охране памятников истории и культуры Санкт-Петербурга от 11.08.2021 № 127-рп
"Об утверждении границ и режима использования территории объекта культурного наследия регионального значения "Съезжий дом 4-й Адмиралтейской (Коломенской) части"
Номер опубликования: 7801202108160006
Дата опубликования: 16.08.2021
Страница №3 из 5:
Увеличить