Официальное опубликование правовых актов
ОФИЦИАЛЬНОЕ ОПУБЛИКОВАНИЕ
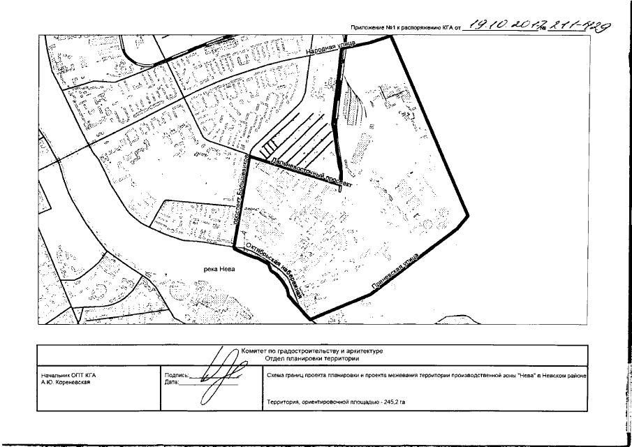
Распоряжение Комитета по градостроительству и архитектуре Санкт-Петербурга от 19.10.2017 № 211-429
"О подготовке документации по планировке территории производственной зоны "Нева" в Невском районе"
Номер опубликования: 7801201710240004
Дата опубликования: 24.10.2017
Страница №3 из 10:
Увеличить