Официальное опубликование правовых актов
ОФИЦИАЛЬНОЕ ОПУБЛИКОВАНИЕ
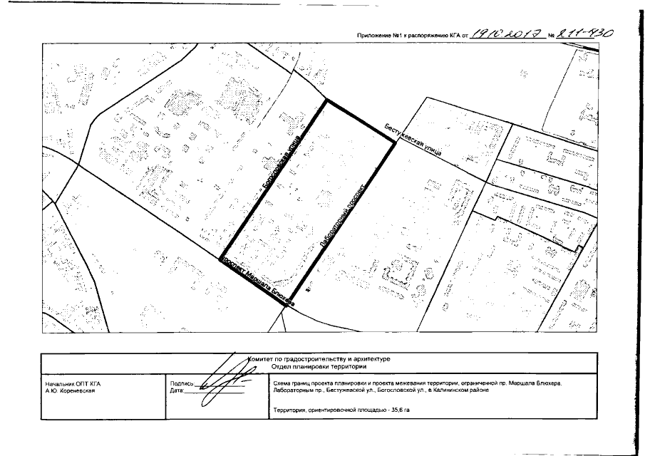
Распоряжение Комитета по градостроительству и архитектуре Санкт-Петербурга от 19.10.2017 № 211-430
"О подготовке изменений в проект планировки с проектом межевания территории, ограниченной пр.Маршала Блюхера, Лабораторным пр., Бестужевской ул., перспективным продолжением Бестужевской ул., Кушелевской дорогой, в Калининском районе, утвержденный постановлением Правительства Санкт-Петербурга от 02.12.2014 №1086, в части территории, ограниченной пр. Маршала Блюхера, Лабораторным пр., Бестужевской ул., Богословской ул., в Калининском районе"
Номер опубликования: 7801201710240003
Дата опубликования: 24.10.2017
Страница №3 из 10:
Увеличить