Официальное опубликование правовых актов
ОФИЦИАЛЬНОЕ ОПУБЛИКОВАНИЕ
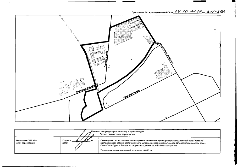
Распоряжение Комитета по градостроительству и архитектуре Санкт-Петербурга от 04.10.2017 № 211-393
"О подготовке изменений в проект планировки с проектом межевания территории производственной зоны "Каменка", расположенной северо-восточнее и юго-западнее пересечения кольцевой автомобильной дороги вокруг Санкт-Петербурга и Западного скоростного диаметра, в Выборгском районе, утвержденный постановлением Правительства Санкт-Петербурга от 24.05.2010 №651"
Номер опубликования: 7801201710050004
Дата опубликования: 05.10.2017
Страница №3 из 10:
Увеличить