Официальное опубликование правовых актов
ОФИЦИАЛЬНОЕ ОПУБЛИКОВАНИЕ
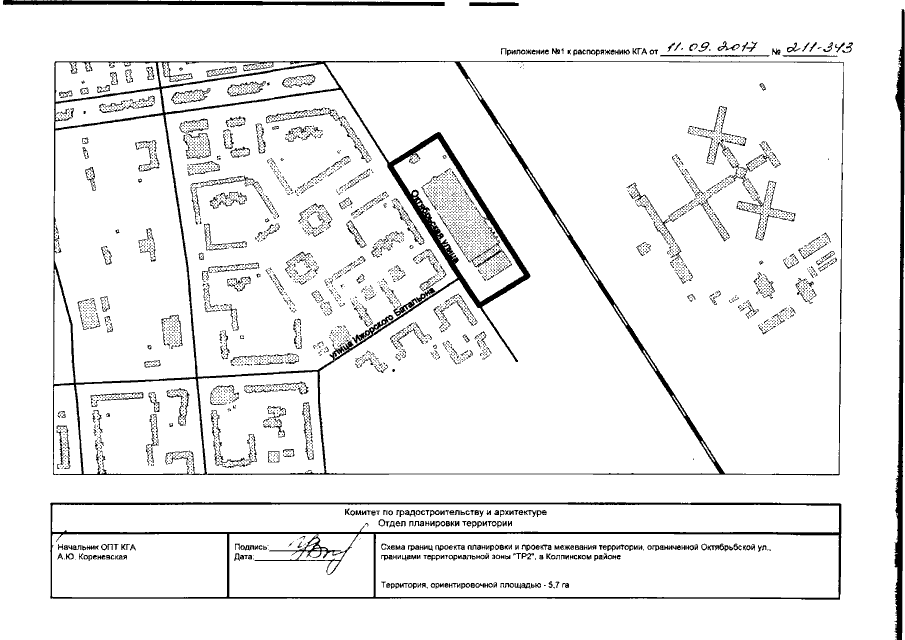
Распоряжение Комитета по градостроительству и архитектуре Санкт-Петербурга от 11.09.2017 № 211-343
"О подготовке документации по планировке территории, ограниченной Октябрьской ул., границами территориальной зоны "ТР2", в Колпинском районе"
Номер опубликования: 7801201709120008
Дата опубликования: 12.09.2017
Страница №2 из 9:
Увеличить