Официальное опубликование правовых актов
ОФИЦИАЛЬНОЕ ОПУБЛИКОВАНИЕ
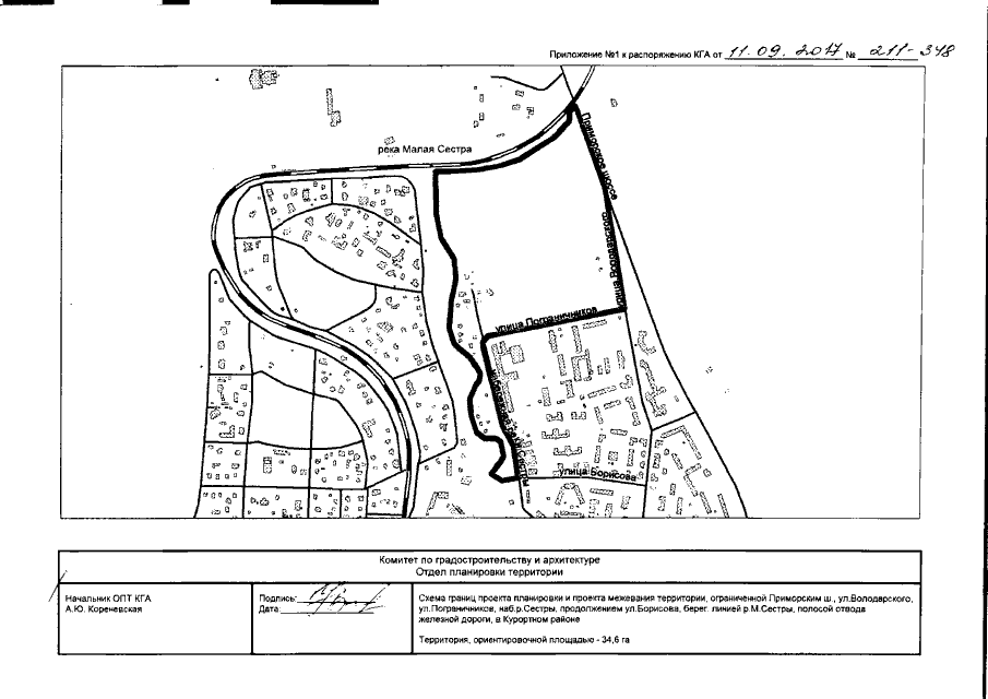
Распоряжение Комитета по градостроительству и архитектуре Санкт-Петербурга от 11.09.2017 № 211-348
"О подготовке изменений в проект планировки с проектом межевания территории, ограниченной Приморским шоссе, ул.Володарского, ул.Пограничников. наб.р.Сестры, продолжением ул.Борисова, береговой линией р.М.Сестры, полосой отвода железной дороги, в Курортном районе, утвержденный постановлением Правительства Санкт-Петербурга от 24.02.2015 №214"
Номер опубликования: 7801201709120005
Дата опубликования: 12.09.2017
Страница №3 из 11:
Увеличить