Официальное опубликование правовых актов
ОФИЦИАЛЬНОЕ ОПУБЛИКОВАНИЕ
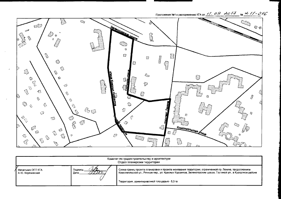
Распоряжение Комитета по градостроительству и архитектуре Санкт-Петербурга от 11.09.2017 № 211-346
"О подготовке документации по планировке территории, ограниченной пр. Ленина, продолжением Комсомольской ул., Речным пер., ул. Красных Курсантов, Зеленогорским шоссе, Гостиной ул., в Курортном районе"
Номер опубликования: 7801201709120001
Дата опубликования: 12.09.2017
Страница №3 из 10:
Увеличить