Распоряжение Комитета по градостроительству и архитектуре Санкт-Петербурга от 14.08.2017 № 211-303
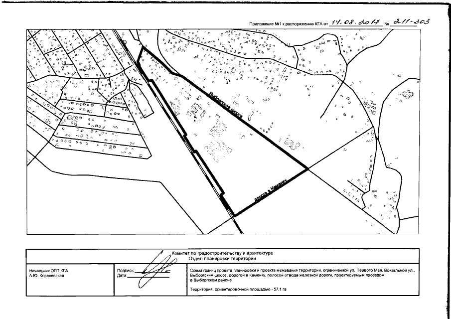
"О подготовке документации по планировке территории, ограниченной ул. Первого Мая, Вокзальной ул., Выборгским шоссе, дорогой в Каменку, полосой отвода железной дороги, проектируемым проездом, в Выборгском районе"
"О подготовке документации по планировке территории, ограниченной ул. Первого Мая, Вокзальной ул., Выборгским шоссе, дорогой в Каменку, полосой отвода железной дороги, проектируемым проездом, в Выборгском районе"
Номер опубликования: 7801201708160006
Дата опубликования:
16.08.2017
