Распоряжение Комитета по градостроительству и архитектуре Санкт-Петербурга от 14.08.2017 № 211-306
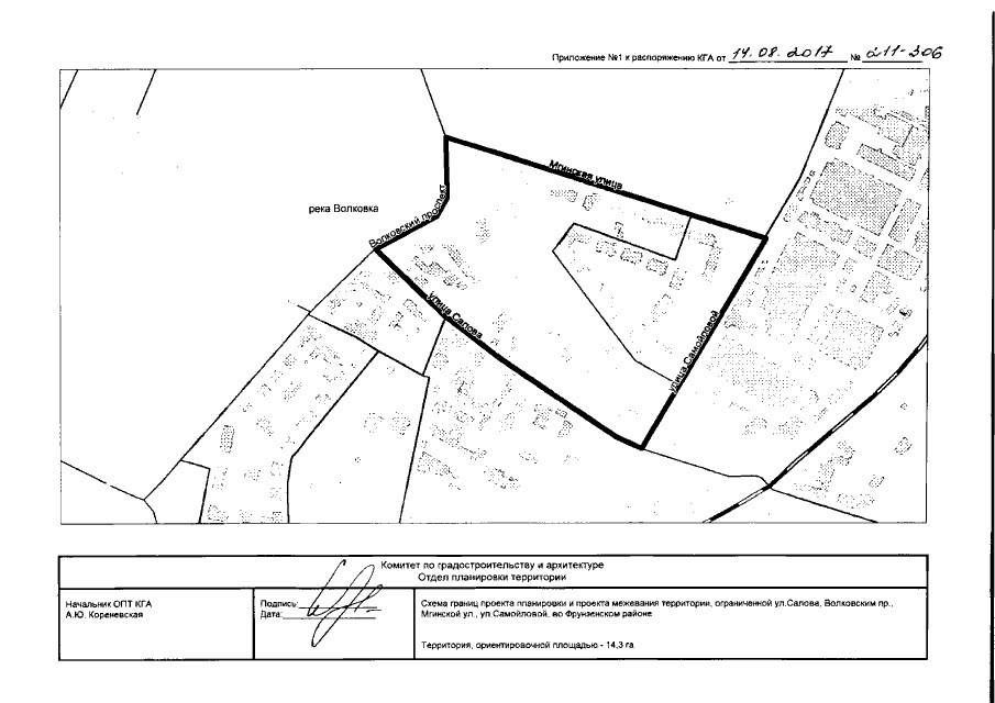
"О подготовке документации по планировке территории, ограниченной ул.Салова, Волковским пр., Мгинской ул., ул.Самойловой, во Фрунзенском районе"
"О подготовке документации по планировке территории, ограниченной ул.Салова, Волковским пр., Мгинской ул., ул.Самойловой, во Фрунзенском районе"
Номер опубликования: 7801201708160005
Дата опубликования:
16.08.2017
