Распоряжение Комитета по градостроительству и архитектуре Санкт-Петербурга от 14.08.2017 № 211-305
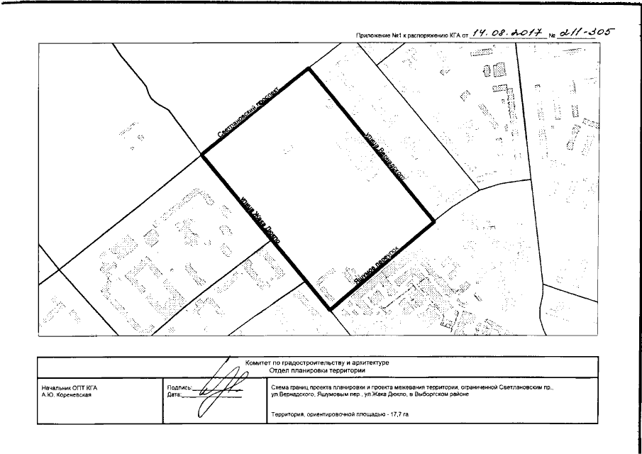
"О подготовке документации по планировке территории, ограниченной Светлановским пр., ул. Вернадского, Яшумовым пер., ул. Жака Дюкло, в Выборгском районе"
"О подготовке документации по планировке территории, ограниченной Светлановским пр., ул. Вернадского, Яшумовым пер., ул. Жака Дюкло, в Выборгском районе"
Номер опубликования: 7801201708160003
Дата опубликования:
16.08.2017
